无人机-激光雷达改善电力线植被管理
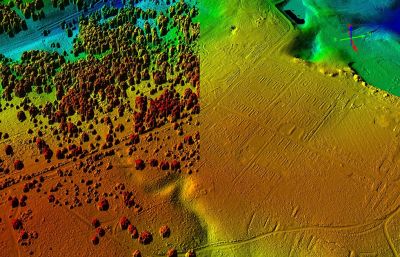
最近一项以林业为基础的案例研究表明,无人机-激光雷达等遥感技术在识别电线附近的患病或受损树木和杂草方面具有价值,可预防……
在新闻档案中,你可以找到所有在GIM国际上发表过的新闻188金宝搏特邀
最近一项以林业为基础的案例研究表明,无人机-激光雷达等遥感技术在识别电线附近的患病或受损树木和杂草方面具有价值,可预防……
一种新的绘图工具使用了50多万张英国历史遗迹的航拍图像。过去30年里拍摄的照片和3D激光扫描发现了“隐藏的考古……
韩国的一个城市正在使用数字双胞胎,以成为一个真正的智慧城市。利用其地理空间基础设施将使其能够参与其机构和公众,以帮助满足当前和未来的需要。
空中客车防务与空间公司发布了新的全球数字高程模型WorldDEM Neo,提供了一个更新的、更精确的整个地球陆地的3D数据集,以提供广泛的服务。
已经设计了一种新的地理空间工具,帮助地方政府计划应对恶劣天气事件,支持恢复和加快保险索赔。基于澳大利亚的航空图像和位置分析pr…
哥伦比亚首都Bogotá区正在使用人工智能来分析通过地面和空中测绘收集的图像。通过确定家庭和社区需要…
欧洲创新伙伴关系(European Innovation Partnership)的一个旨在加速实现净零碳农业的项目,正在使用特别委托的激光雷达数据为未来的测量创建基线。使用……
Geomaat使用其移动地图系统扫描了荷兰的整个阿姆斯特丹环路(也被称为A10)。该项目全长32.3公里,产生了一个巨大的amo…
挪威制图机构Kartverket正在北马其顿领土的一个项目中使用机载激光雷达扫描。得到的高度精确的数字高程模型将分布在…
在绘制世界道路地图方面,TomTom是该行业的先驱,也是最有经验的公司之一。20年前,波兰Łódź的移动地图团队开始了一项……
根据一项新协议,LiDARUSA将在美国、加拿大和墨西哥销售Hesai Technology的3D激光雷达传感器。Hesai的激光雷达传感器在确保可靠的检测方面享有声誉。
Sanborn地图公司被美国地质调查局(USGS)选中,获得一份上限为8.5亿美元的多项不确定交付合同。地理空间产品与服务
你对一篇文章有什么有趣的想法吗188金宝搏特邀?我们一直在寻找地球信息产业最好的消息和观点。如果您正在使用最具创新性的技术,进行了一项具有挑战性的调查,或者只是想分享您对未来的看法,请发送电子邮件给我们的内容经理Wim van Wegen:wim.van.wegen@geomares.nl.他将非常乐意探索与你的同龄人分享你的想法的方法。